Terreno urbano de 360,73m² em Novo Barreiro, Rio Grande do Sul.
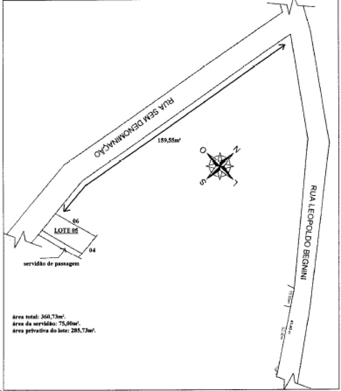
Descrição: Terreno urbano (lote 05) com a área de 360,73m², situado em uma rua sem denominação, distante 159,55m da confluência com a Rua Leopoldo Begnini, na Cidade de Novo Barreiro/RS. O terreno confronta ao NORTE com o lote nº 06, ao SUL com propriedade de Paulo Cezar Klein, ao LESTE com o lote nº 04, e ao OESTE com uma rua sem denominação. O quarteirão é indefinido e é formado pela Rua Leopoldo Begnini, rua sem denominação e área não loteada. O imóvel está registrado junto ao C.R.I. de Palmeira das Missões/RS.

RS, Novo Barreiro, - Rua Leopoldo Begnini
Atenção:
As informações disponibilizadas sobre imóveis em leilão — incluindo, mas não se limitando a, descrição do bem, datas, valores, imagens, localização, condições do leilão e quaisquer outros dados fornecidos — são integralmente obtidas a partir das publicações oficiais do leiloeiro responsável. A LeeilON atua exclusivamente como plataforma de divulgação e não exerce atividades de leiloeiro, tampouco garante a precisão, completude, atualização ou veracidade das informações apresentadas. Antes de realizar qualquer análise, tomada de decisão ou participação em arrematação, o usuário deve consultar diretamente o site oficial do leiloeiro, verificar as informações completas e atualizadas e, se necessário, buscar orientação de um profissional especializado.